- ·广东2023年2号台风最新消息 台风玛娃或生成会影响广东吗(2023-05-05)
- ·2023年2号台风预计什么时候生成 二号台风生成后会影响我(2023-05-05)
- ·2023年二号台风玛娃胚胎高清卫星云图(实时更新):体型(2023-05-05)
- ·2023台风路径发布系统2号台风路径图 台风“玛娃”胚胎路(2023-05-05)
- ·今年2号台风玛娃最新消息:正在酝酿中 是否会影响海南(2023-05-05)
今年2号台风今日最新云图发展 台风玛娃超清云图汇总
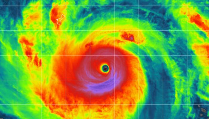
据网络资讯,台风玛娃现在是15级强台风的状态,预计接下来还会加强到超强台风级别。显然,现在也已经是比较强的了,所以从今年2号台风今日最新云图发展来看,台风眼已是清晰可见,之后还会越来越清晰圆滑。 具体情况,我们一起来看看下面的台风玛娃超清云图汇总。
今年2号台风今日最新云图发展

今年2号台风今日最新云图发展1

今年2号台风今日最新云图发展2

今年2号台风今日最新云图发展3

今年2号台风今日最新云图发展4

今年2号台风今日最新云图发展5
具体情况:
时间:23 日 08 时
命名:“玛娃”,MAWAR
编号:2302 号
中心位置:北纬11.1度、东经146.8度
强度等级:强台风级
最大风力:15级, 50米/秒(约180公里/小时)
中心气压:940 hPa
参考位置:距离美国关岛东南方向约340公里
风圈半径:七级风圈半径 东北方向360公里;东南方向320公里;西南方向300公里;西北方向300公里
十级风圈半径 东北方向90公里;东南方向90公里;西南方向90公里;西北方向90公里
十二级风圈半径 东北方向50公里;东南方向50公里;西南方向40公里;西北方向40公里
预报结论:“玛娃”将以每小时10-15公里的速度向北偏西方向移动,强度逐渐加强。
下一篇:2号台风玛娃最新路线图 今日二号台风路径图实时查询
相关热词搜索:台风 台风最新消息 台风玛娃 天气 北京天气预报 上海天气预报15天 天气预报降水分布
