- ·广东2023年2号台风最新消息 台风玛娃或生成会影响广东吗(2023-05-05)
- ·2023年2号台风预计什么时候生成 二号台风生成后会影响我(2023-05-05)
- ·2023年二号台风玛娃胚胎高清卫星云图(实时更新):体型(2023-05-05)
- ·2023台风路径发布系统2号台风路径图 台风“玛娃”胚胎路(2023-05-05)
- ·今年2号台风玛娃最新消息:正在酝酿中 是否会影响海南(2023-05-05)
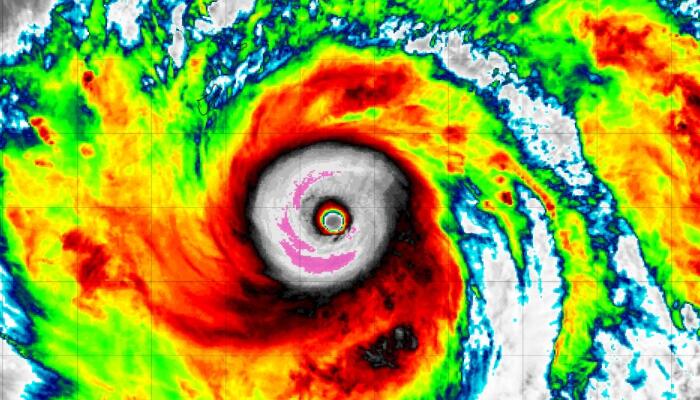
今年首个超强台风来袭:台风“玛娃”已加强到17级
据网络资讯,从中央气象台最新台风资讯来看,今年2号台风“玛娃”已加强到17级,即已经达到了超强台风级别,这是今年首个超强台风!根据路径趋势,它将以这个状态逐渐靠近美国关岛,并可能在美国关岛登陆,即便不登陆,也将带来显著影响。
今年首个超强台风来袭:台风“玛娃”已加强到17级

台风玛娃
据中央气象台预报,截至今天(23日)下午14时,台风玛娃已经加强到超强台风级别,成为今年首个超强台风。具体情况如下:
时间:23 日 14 时
命名:“玛娃”,MAWAR
编号:2302 号
中心位置:北纬11.7度、东经146.5度
强度等级:超强台风级
最大风力:17级, 60米/秒(约216公里/小时)
中心气压:920 hPa
参考位置:距离美国关岛东南方向约270公里
风圈半径:七级风圈半径 东北方向320公里;东南方向320公里;西南方向280公里;西北方向280公里
十级风圈半径 东北方向170公里;东南方向170公里;西南方向150公里;西北方向150公里
十二级风圈半径 东北方向70公里;东南方向70公里;西南方向70公里;西北方向70公里
预报结论:“玛娃”将以每小时10-15公里的速度向西北方向移动,强度逐渐减弱。
专业人士分析:

台风玛娃预测
玛娃的提前加强,以及在超强台风基础上的加强,将会带来以下几个后果:
第一,关岛将迎来罕见的超强台风正面袭击,玛娃有可能成为该岛的最强台风,或许可以把之一去掉。
第二,玛娃将长时间维持超高强度,超强台风身份可能维持一星期以上,类似台风山竹,堪称超长待机的超强台风。
第三:在菲律宾以东洋面上,玛娃可能会达到极端强度。正如我们之前节目所说,有可能成为2023年全球风王。
玛娃的提前加强和强势发展,在五月没有太多先例。我们提醒,在菲律宾以东洋面航行的中国海员们,务必密切关注玛娃动向,务必及时避开玛娃的风浪区。5月底,玛娃将逐渐靠近我国东南沿海,目前各大超级计算机模式对它的分歧很大。
下一篇:超强台风“玛娃”持续西偏北移动 广西广东等仍防强降雨
相关热词搜索:台风 台风最新消息 台风玛娃 天气 北京天气预报 上海天气预报15天 天气预报降水分布
