- ·广东2023年2号台风最新消息 台风玛娃或生成会影响广东吗(2023-05-05)
- ·2023年2号台风预计什么时候生成 二号台风生成后会影响我(2023-05-05)
- ·2023年二号台风玛娃胚胎高清卫星云图(实时更新):体型(2023-05-05)
- ·2023台风路径发布系统2号台风路径图 台风“玛娃”胚胎路(2023-05-05)
- ·今年2号台风玛娃最新消息:正在酝酿中 是否会影响海南(2023-05-05)
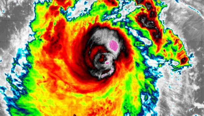
2号超强台风玛娃超强云图更新:云系浓密台风眼变模糊了
据网络资讯,据最新预报显示,目前2号台风玛娃仍是超强状态,不过,相对于昨日至今早,目前已经有所减弱。而从云图上来看,也呈现出减弱的迹象。根据最新超强台风玛娃超强云图更新实况显示,现在其云系容比较浓密均匀,但台风眼变模糊了。
2号超强台风玛娃超强云图更新:云系浓密台风眼变模糊了

2号超强台风玛娃超强云图更新1

2号超强台风玛娃超强云图更新2

2号超强台风玛娃超强云图更新3

2号超强台风玛娃超强云图更新4

2号超强台风玛娃超强云图更新5
今年第2号台风“玛娃”(Mawar)(超强台风级)的中心今天(24日)上午8点钟(北京时,下同)位于美国关岛东偏南方向大约85公里的西北太平洋洋面上,就是北纬13.1度、东经145.5度,中心附近最大风力有16级(55米/秒),中心最低气压为930百帕,七级风圈半径280-320公里,十级风圈半径150-170公里,十二级风圈半径70公里。
预计,“玛娃”中心将以每小时10-15公里的速度向西北方向移动, 即将于24日白天登陆或掠过美国关岛(超强台风级,16-17级,52-60米/秒),以后将转向西偏北方向移动,向菲律宾吕宋岛以东洋面靠近。
下一篇:今年第2号台风玛娃最新消息2023 “玛娃”24日白天将登陆
相关热词搜索:台风 台风最新消息 台风玛娃 天气 北京天气预报 上海天气预报15天 天气预报降水分布
