- ·台风最新消息2023年14号台风 台风“海葵”或将变异为台(2023-09-09)
- ·11号台风海葵或复活 超级计算机最新预报:变异为14号台风(2023-09-09)
- ·2023年14号台风小犬生成了吗 14号台风小犬或现生成争名(2023-09-09)
- ·台风最新消息:中秋或不止一个台风 台风小犬和布拉万等(2023-09-19)
- ·14号台风最新消息2023实时路径图 台风小犬未来10天生成?(2023-09-19)
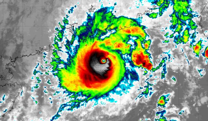
十四号台风实时路径图卫星云图 台风小犬将二次登陆
据网络资讯,赶在9月最后一天,今年14号台风小犬生成了,生成了一周多的台风小犬,本周登陆了我国台湾省,但是台风小犬也不是一个省心的台风。据最新台风预报显示,台风“小犬”正在逐渐向广东西部到海南岛东部一带沿海靠近,是不是就是说在登陆台湾省以后,台风小犬还将再次登陆我国呢?下面一起来分析分析。
十四号台风实时路径图卫星云图

专题点击》》2023年第14号台风小犬路径实时发布系统

十四号台风卫星云图2

十四号台风卫星云图3

十四号台风卫星云图4

十四号台风卫星云图5

十四号台风卫星云图6
今年第14号台风“小犬”(强台风级)的中心今天(7日)上午9点钟位于广东省汕尾市偏南方大约190公里的南海北部海面上,就是北纬21.1度、东经115.5度,中心附近最大风力有15级(48米/秒),中心最低气压为945百帕,七级风圈半径180-220公里,十级风圈半径60公里,十二级风圈半径30公里。
预计,“小犬”将以每小时5-10公里的速度向西偏南方向移动,强度维持或缓慢减弱,逐渐向广东西部到海南岛东部一带沿海靠近。
据weatherman_信欣分析,昨晚到今晨,台风小犬还略有增强,维持强台风级。短期内较高的海温和弱的垂直风切变,总体环境场依然利于强度维持,但随着冷空气注入,暖心结构可能被破坏,靠近雷州半岛和海南时,强度减弱。目前看,10日晨有可能再次登陆我国。如果强度偏强一些,就是雷州半岛,弱一些就是海南。
预计7日08时至8日08时,东海大部、台湾海峡、南海北部以及浙江沿海、福建沿海、广东沿海将有6-8级、阵风9-10级的大风,其中广东沿海、南海北部的部分海域将有9-12级、阵风13-14级的大风,“小犬”中心经过的附近海面风力有13-15级,阵风16-17级。浙江东部沿海、福建东南部、广东东部等地将有大雨或暴雨(50-60毫米)。
另外在西北太平洋上,有个低压正在发展,今晚日本气象厅给出预生成提示,未来24小时将发展为15号台风布拉万。这个台风可能从马里亚纳群岛附近经过,之后转向东北行,属于远海转向台风,对我国无影响。

台风生成
台风快讯
时间:07日13时
命名:“小犬”,KOINU
编号:2314号
中心位置:北纬21.1度、东经115.3度
强度等级:强台风级
最大风力:15级,48米/秒(约173公里/小时)
中心气压:945 hPa
风圈半径:七级风圈半径东北方向220公里;东南方向200公里;西南方向180公里;西北方向200公里
十级风圈半径东北方向60公里;东南方向60公里;西南方向60公里;西北方向60公里
十二级风圈半径东北方向30公里;东南方向30公里;西南方向30公里;西北方向30公里
预报结论:“小犬”将以每小时5-10公里的速度向偏西方向缓慢移动,强度缓慢减弱
下一篇:14号台风路径实时图今日最新 台风小犬路径实时发布系统
相关热词搜索:台风最新消息 台风小犬 台风路径 北京天气预报 上海天气预报15天 天气预报降水分布

